土地 徳島市南昭和町7丁目
所在地
徳島市南昭和町7丁目
2,150万円
61.48坪
前面道路広く、南向き、日当たり良好!土地面積も広くご希望のマイホームを実現していただけます!
物件概要
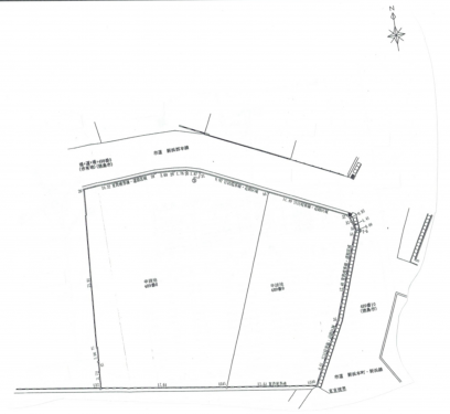
- 交通
-
バス停「南昭和町5丁目」より徒歩 7分
- 接道状況
- 南側 公道6m 間口約13.6m
- 土地面積
- 公簿 203.26㎡ (61.48坪)
- 建ぺい率
- 60%
- 容積率
- 200%
- 土地権利
- セットバック
- 無し
- 小学校区
- 昭和
- 中学校区
- 富田
- 私道負担
- なし
- 建築条件
- なし
- 地目
- 宅地
- 現況
- 引渡時期
- 相談
- 上水道
- 下水道
- ガス
- 都市ガス
- 都市計画
- 市街化区域
- 用途地域
- 1種住居
- 設備・条件
- 側溝、上水道、下水道
- 備考
- 周辺、前面道路は居住者しか出入りしない場所の為、安心です。
- 取引態様
- 仲介

